Back To Top

El Foro de Puerto Rico

Friday, 23 de September de 2022 - 10:02 AM

Canadá se prepara para el impacto del poderoso huracán Fiona

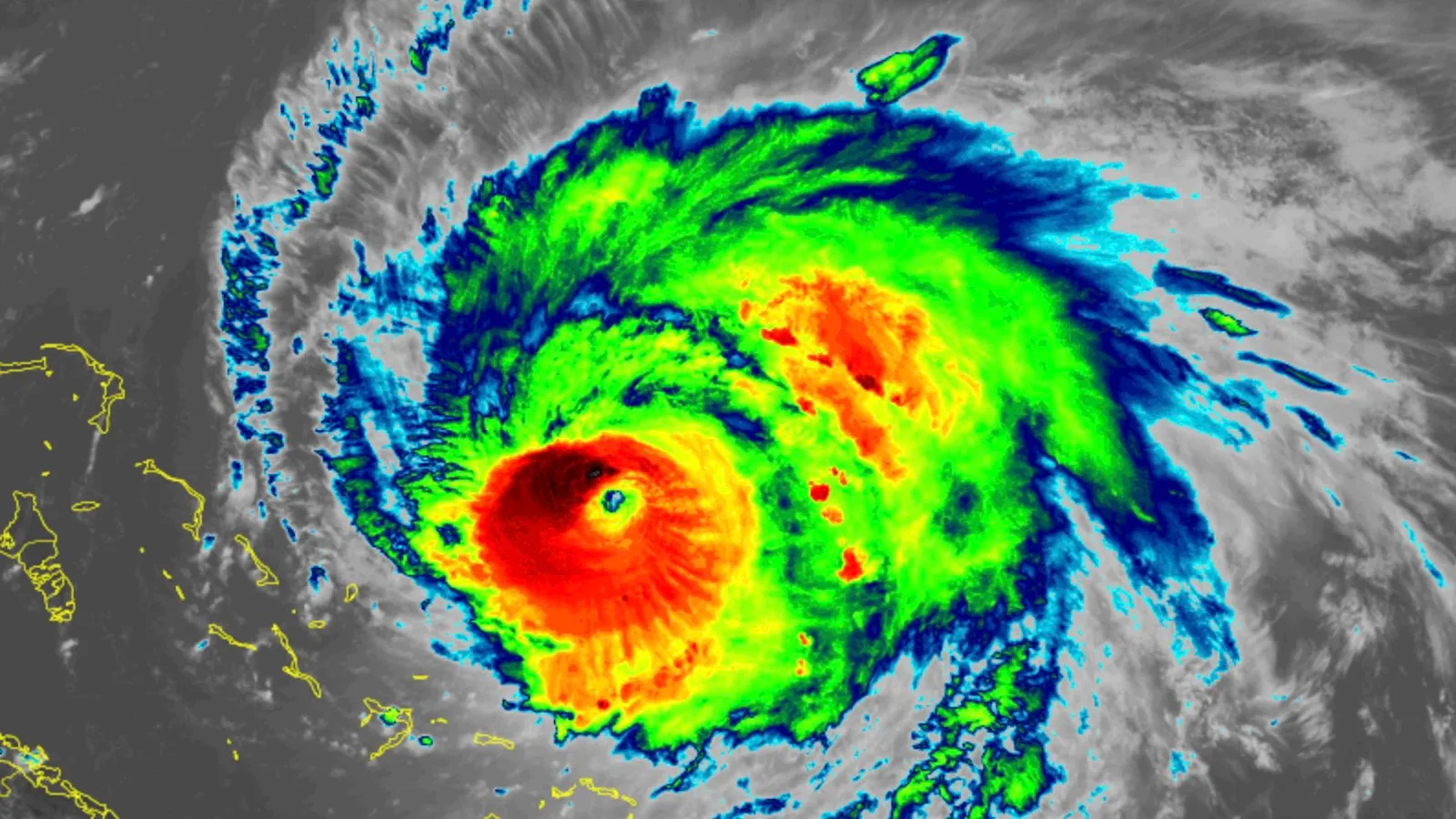
El poderoso huracán Fiona se dirige a Canada donde la región de Nueva Escocia y la isla del Príncipe Eduardo se preparan para un impacto directo. El sistema atmosférico viene de azotar varios países en el Caribe esta semana y ahora está impactando a las Bermudas.

Ahora, los funcionarios de Nueva Escocia y la Isla del Príncipe Eduardo de Canadá están instando a quienes se encuentran en el camino de la tormenta a estar en alerta máxima y prepararse para el impacto del huracán Fiona, que ya ha cobrado la vida de al menos cinco personas y ha cortado el suministro eléctrico a millones esta semana incluyendo a Puerto Rico, donde casi un millón de personas continúan sin electricidad a cinco días de su paso.

“Se proyecta que Fiona sea un evento meteorológico significativo e histórico para Nueva Escocia”, dijo John Lohr, el ministro responsable de la Oficina de Manejo de Emergencias de la provincia.Y es que el temible huracán Fiona podría ser la tormenta más fuerte de la historia de Canadá.
“Tiene el potencial de ser muy peligroso. Se prevé que los impactos se sientan en toda la provincia. Todos los habitantes de Nueva Escocia deberían prepararse hoy”, agregó Lohr durante una actualización oficial el jueves.

Los residentes deben prepararse para los vientos dañinos, las olas altas, las marejadas ciclónicas costeras y las fuertes lluvias que pueden provocar cortes de energía prolongados, dijo Lohr. Los funcionarios de emergencia han alentado a las personas a asegurar artículos al aire libre, podar árboles, cargar teléfonos celulares y crear un kit de emergencia de 72 horas.

Según el Centro Nacional de Huracanes en su boletín de las ocho de la mañana, el centro de Fiona se acercará a Nueva Escocia más tarde hoy, se moverá a través de Nueva Escocia y entre el Golfo de San Lorenzo el sábado, y luego a través de Labrador y sobre el mar de Labrador el domingo. Los vientos máximos sostenidos están cerca de 125 mph (205 km/h) con ráfagas aún más fuertes. Fiona es un huracán categoría 3 y aunque se espera que se debilite un poco, se pronostica que sea un poderoso ciclón con vientos huracanados cuando se acerque y se desplace sobre Nueva Escocia esta noche y durante el sábado.

Prev Post

Departamento de Salud reporta diez muertes adicionales por Covid-19 en la isla

Next Post

Comisión Cameral de Asuntos del Consumidor busca soluciones a la escasez de diesel

post-bars
Escribir un comentario
WordPress Ads